Startseite
>
Über uns>
Institut für Methodik der Fernerkundung>
Photogrammetrie und Bildanalyse>
Öffentliche Datensätze>
Datensatz: Multi-Sensor Land-Cover Klassifikation (MSLCC)
Datensatz: Multi-Sensor Land-Cover Klassifikation (MSLCC)
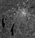
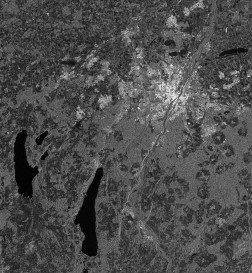
Der MSLCC-Datensatz wurde im Rahmen einer multi-sensoriellen Klassifizierung für Landbedeckung erstellt und in [1] publiziert. Er beinhaltet multispektrale und SAR-Bilder von Sentinel-1B und -2A von zwei Städten in Deutschland (München und Berlin) und deren Umgebung. Die Bilder wurden für vier Kategorien annotiert: „landwirtschaftliche Felder“, „Wald“, „bebautes Gebiet“ und „Wasserflächen“. Bitte zitieren sie [1], falls Sie eine Veröffentlichung mit diesem Datensatz planen.






[1] R. Bahmanyar, D. Espinoza-Molina and M. Datcu, "Multisensor Earth Observation Image Classification Based on a Multimodal Latent Dirichlet Allocation Model," in IEEE Geoscience and Remote Sensing Letters, vol. 15, no. 3, pp. 459-463, March 2018.