Wetter und Klima
Jahrgangsstufe 3
In Zusammenarbeit mit der Grundschule Daniel-Sanders in Neustrelitz wird den Schülerinnen und Schülern die Arbeitsgemeinschaft „Wetter und Klima“ angeboten. Neben der Vermittlung von themenrelevanten Begriffen und Zusammenhängen festigen die teilnehmenden Kinder das erworbene Wissen anhand einfacher Experimente und meteorologischer Beobachtungen.

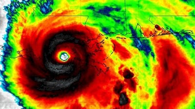
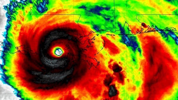
Ein Hurrikan im Falschfarbenbild
An den verschiedenen Farben erkennen Fachleuten beispielsweise die Windgeschwindigkeit oder die Druckverhältnisse.
Credit:
Tropical Tidbits, GOES-16 satellite feed
Ausgewählte Inhalte:
- Wetter und Klima
- Wasserkreislauf
- Wolken
- Wind und Luftdruck
- Klimazonen und Klimawandel
- Regen, Stürme und extreme Wetterereignisse