Temperaturverteilung bei Hurrikan Matthew
Temperaturverteilung bei Hurrikan Matthew
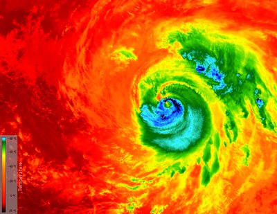
Die Aufnahme vom 7. Oktober 2016 von Copernicus-Satellit Sentinel-3A zeigt Hurrikan Matthew bei der Annäherung an den US-Bundesstaat Florida. Die Temperaturen der Wolken an seiner Oberfläche reichen dabei von -80 Grad Celsius im Auge des Sturms (dunkelblaue Färbung) bis zu 25 Grad Celsius an den Rändern (dunkelrote Färbung). Die Aufnahme wurde mit dem SLSTR-Instrument (Sea and Land Surface Temperature Radiometer) erstellt.
