Topographische Karte des Hooke-Kraters (HRSC-Geländedaten)
Topographische Karte des Hooke-Kraters (HRSC-Geländedaten)
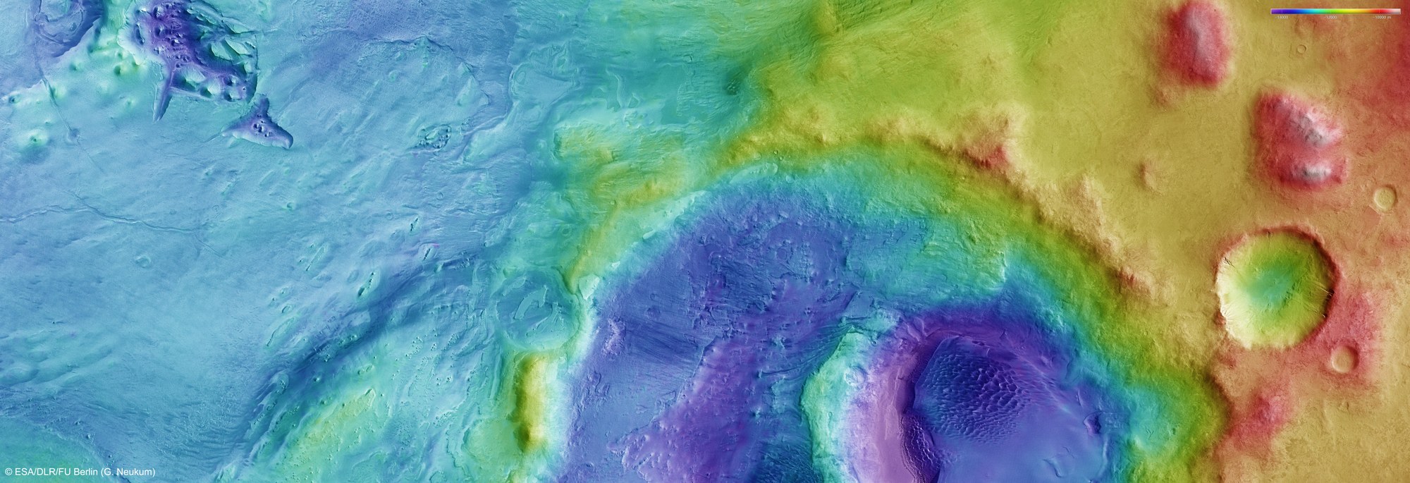
Mit der Stereokamera HRSC lassen sich digitale Geländemodelle ableiten, die entsprechend eingefärbt bildhaft die Topographie der Region erkennen lassen. Die Zuordnung der Höhen kann man an der Farbskala rechts oben im Bild ablesen (blau: tiefer gelegene Gebiete; rot: höher gelegene Gebiete). Die Höhenangaben beziehen sich in Ermangelung eines Meeresspiegels auf das so genannte Aeroid, eine modellierte Äquipotentialfläche, auf der überall die gleiche Anziehungskraft in Richtung des Marsmittelpunktes wirkt. Der Hooke-Krater befindet sich in der Region Argyre Planitia - einer ausgedehnten kreisförmigen Tiefebene auf der südlichen Mars-Halbkugel.
Anmerkung zum Copyright:
Im Dezember 2014 haben sich DLR, ESA und FU Berlin darauf geeinigt, die HRSC-Bilder der Mars Express-Mission unter einer Creative Commons-Lizenz zu veröffentlichen: ESA/DLR/FU Berlin, CC BY-SA 3.0 IGO. Diese gilt auch für alle bisher veröffentlichten HRSC-Bilder.
