Topographische Karte des nördlichen Teils von Deuteronilus Mensae
Topographische Karte des nördlichen Teils von Deuteronilus Mensae
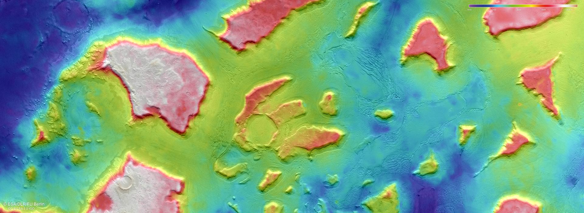
Aus den Bildstreifen, die das Kamerasystem HRSC auf Mars Express aus verschiedenen Winkeln aufgenommen hat, berechnen Wissenschaftlerinnen und Wissenschaftler des DLR und der Freien Universität Berlin digitale Geländemodelle der Marsoberfläche. Dabei birgt jeder Bildpunkt eine Höheninformation in sich. Die Farbkodierung des digitalen Geländemodells (Legende oben rechts) gibt Auskunft über die Höhenunterschiede in der Region: Die Hochflächen der frei in der Landschaft stehenden, zehn bis 30 Kilometer langen Tafelberge befinden sich etwa 2.000 Meter über der Tiefebene. Damit sind sie etwa doppelt so hoch wie der Tafelberg in Kapstadt (Südafrika). Die Höhenangaben reichen von minus 4000 Meter (blau) bis minus 2.000 Meter (rot). Das bedeutet, dass diese Übergangszone bei etwa 40 Grad nördlicher Breite unterhalb des Bezugsniveaus, dem sogenannten Areoiden, liegt (von Ares, der griechischen Entsprechung des römischen Kriegsgottes Mars). Das Areoid ist eine berechnete Fläche gleicher Anziehungskraft undwird von den Wissenschaftlern auch Äquipotentialfläche genannt. Auf der Erde ist diese Bezugsfläche der Meeresspiegel.
