Drei spektrale Kanäle im Vergleich
Drei spektrale Kanäle im Vergleich
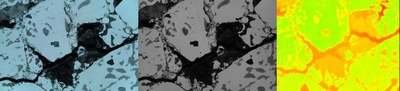
Das Bild zeigt eine Eisfläche als Farbbild, in nah-infrarotem und thermal-infrarotem Spektrum (v.l.n.r.). Aus der Kombination verschiedener Kanäle lassen sich u.a. Schmelztümpel oder überfrierende Risse bestimmen.
