Three spectral channels in comparison
Three spectral channels in comparison
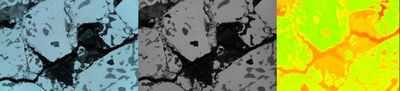
These image show (from left to right) an ice surface in visible light, in near-infrared and in thermal-infrared. The combination of data from different channels can be used to determine, among other things, melting pools or freezing fissures.
